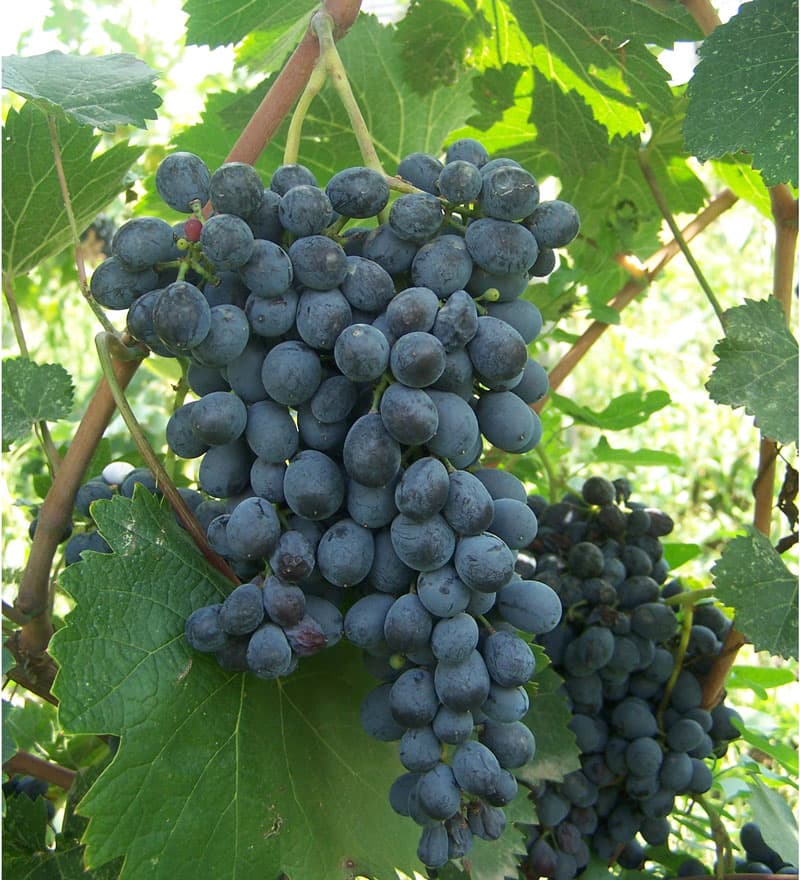
Mujuretuli är en blå druva från Georgien, den är vanligast i provinsen Racha-Lechkhumi, västra Georgien. Druvan kallas också ofta för keduretuli. Den odlas också Ukrina och Ryssland.
Druvan odlas vanligen tillsammans med druvan alexandrouli. Klasarna är oftast medelstora och relativt luftiga och de ger druvjuice med hög sötma och låg syra.
Druvan används främst för det halvsöta vinet Khvanchkara som görs på en blend av mujuretuli och alexandrouli.
Andra namn på druvan är: mujuretuli, mudzhuretuli, mudshurestuli.





